THE SCHWERT FAMILY:

Family and Descendants of
George E. Eberle
(1936 - 1970)

Spouse: Mary Ann Kumiega
(1938 - 2000)



Katherine Frances (née
Patz) Eberle, with infant
George E. Eberle. (1936).

(Click to enlarge, 10K)

According to U.S. Social Security records, George E. ("Buddy") Eberle was born on January 9, 1936, in Buffalo, NY. George graduated from Riverside High School in Buffalo. He then attended a "Tech. School" in Buffalo, where he received a degree in Electricity and Electronics. While he attended this school, he was also a member of the school's ROTC program. George eventually ended up working for Western Electric Company on Hertel Avenue in Buffalo. When Western Electic closed the plant, George transferred within the company to Atlanta, Georgia.

George married Mary Ann Kumiega, who was born in 1938.

George died on December 14, 1970, of a heart attack at an early age. Mary Ann died on December 20, 2000. They are interred in Lot 143, Grave 1, Mount Olivet Cemetery in Kenmore, NY

Based on the memories of Mary Ann (née Eberle) Gillespie, sister of George E. Eberle.


George and George E. Eberle. (Date unknown, probably ~1938).

(Click on photo for enlargement, 16K)

George E. Eberle, George, Katherine Frances (née Patz) Eberle, and Mary Ann Eberle. (Date unknown).

(Click on photo for enlargement, 13K)

George E. Eberle. (1942).

(Click on photo for enlargement, 9K)

George E. Eberle, in front of 7 Oregon Street. (August, 1952).

(Click on photo for enlargement, 33K)


Parents of George E. Eberle:


Descendants of George and Mary Ann (née Kumiega) Eberle :

  • William George Eberle: Living.

  • George Joseph Eberle: Born ????; died 2004.

  • Jeffrey Scott Eberle: Living.


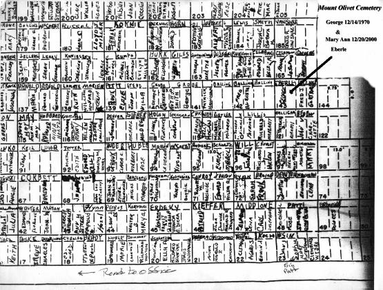
General location of the gravesites for George E. Eberle and Mary Ann (née Kumiega) Eberle, Lot 143, Grave 1, Mount Olivet Cemetery, Kenmore, NY. A map to the gravesites is available here.

(Photo by Bernard Patz, 2001. Click on photo for enlargement, 107K)

Grave of George E. Eberle and Mary Ann (née Kumiega) Eberle, Lot 143, Grave 1, Mount Olivet Cemetery, Kenmore, NY.

(Photo by Bernard Patz, 2001. Click on photo for enlargement, 70K)


Documents and Other Artifacts:

  • Social Security Record: George E. Eberle, born January 9, 1936, died December, 1970.

  • Obituary: George E. Eberle, died December 14, 1970.

  • Funeral Mass Card: George E. Eberle, died December 14, 1970, funeral service on December 18, 1970.

  • Obituary: Mary Ann (née Kumiega) Eberle, died December 20, 2000.

  • Map to Gravesites: George E. Eberle and Mary Ann (née Kumiega) Eberle, Lot 143, Grave 1, Mount Olivet Cemetery, Kenmore, NY.

  • Map of Cemetery Plots: George E. Eberle and Mary Ann (née Kumiega) Eberle, Lot 143, Grave 1, Mount Olivet Cemetery, Kenmore, NY.


Schwertfamily.net is maintained by Donald P. Schwert, great great grandson of Carl and Veronica (née Modrzejewska) Schwertfeger (Schwert). We seek your assistance in helping us to develop this family history. Correspondence can be mailed to: Donald P. Schwert, 300 Broadway N #204, Fargo, ND, 58102-4720 U.S.A.


[ Home ] [ Names ] [ Buildings ] [ Maps ] [ Links ] [ Contacts ]